Sign up to get new listings emailed daily! JOIN SIGN IN
Kathy Welch
REALTOR®, CRS, GRI, SRES, AHWD
Facebook Icon 
1320 E Milton Avenue , Lot #2-D, Youngsville, LA 70508 Photo
1320 E Milton Avenue , Lot #2-D, Youngsville, LA 70508 Photo

2 Total Photos [Click to View All]

1320 E Milton Avenue , 2-D Youngsville, LA 70508
$2,245,900
Active / MLS# 22003648 / Land - Commercial / Youngsville
0 Beds

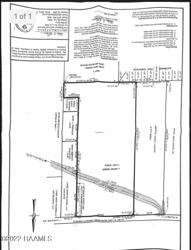
The first plat is the entire property and the second plat is what has been recently sold (lots 2-A & 2-B) & what is reserved (Lot 2-C), being the frontage up to the ditch, anything past the ditch is now listed for sale (lot 2-D). Property did not flood in 2016 and is zone X (not flood).

Read More » Read Less »

Kathy Welch Agent Cell: (337) 298-1313

Mortgage Calculator

%
years/fixed
yearly
yearly (est.)
(Payments are an estimate and may vary by lender)

Estimated Payment

$ 13,873.04 per month $12,562.93 Principal & Interest $0.00 Property Tax (data not provided by mls) $1,310.11 Homeowner's Insurance

Property Details

Property Type: Land - Commercial
Lot Size: 12.14 Acres

Feature Descriptions

Current Use: Vacant
Days on Site: 254
Exclusions: Right of Passage
Lot: Additional Land Available, Rural, Lot Staked,11 - 19.99 Acres
Lot Dimensions: Appro x imately 12.14 acres
Parcel Number: 6126167
Possible Use: Single Family
Utilities: Cable Available

Schools

High School: Call School Board
Middle School: Call School Board

Disclaimer: The accuracy of all information regardless of source, including but not limited to square footage and lot size, is deemed reliable but not guaranteed nor warranted and should be personally verified through personal inspection by and/or with the appropriate professionals.

Listed By / Shown By

Listed By

Agency Name: Parish Realty Acadiana
Agency Phone: (337) 735-1223
Agent Name: Rachel Capritto

agent picture

Shown By

Agent Name: Kathy Welch
Agent Phone: (337) 298-1313
Agency Title: Compass

IDX logo

Latter & Blum
430 Notre Dame St.
New Orleans, LA 70130
(866) 794-1022
Disclaimer: All information deemed reliable but not guaranteed. All properties are subject to prior sale, change or withdrawal. Neither listing broker(s) or information provider(s) shall be responsible for any typographical errors, misinformation, misprints and shall be held totally harmless. Listing(s) information is provided for consumers personal, non-commercial use and may not be used for any purpose other than to identify prospective properties consumers may be interested in purchasing. Information on this site was last updated 03/07/2026. The listing information on this page last changed on 03/07/2026. The data relating to real estate for sale on this website comes in part from the Internet Data Exchange program of Delta Media Group MLS (last updated Sat 03/07/2026 2:21:22 AM EST) or Fort Polk MLS (last updated Fri 03/06/2026 11:31:10 PM EST) or SWLAR MLS (last updated Fri 03/06/2026 11:35:18 PM EST) or Greater Baton Rouge MLS (last updated Fri 03/06/2026 11:30:42 PM EST) or GSREIN MLS (last updated Sat 03/07/2026 1:10:35 AM EST) or Bayou MLS (last updated Fri 03/06/2026 11:21:08 PM EST) or Pearl River MLS (last updated Fri 03/06/2026 11:24:32 PM EST) or GCLAR MLS (last updated Fri 03/06/2026 11:12:16 PM EST) or Realtor Association of Acadiana (last updated Fri 03/06/2026 11:22:40 PM EST) or MLS United (last updated Sat 03/07/2026 2:06:18 AM EST). Real estate listings held by brokerage firms other than Compass may be marked with the Internet Data Exchange logo and detailed information about those properties will include the name of the listing broker(s) when required by the MLS. All rights reserved.
Privacy Policy / DMCA Notice / ADA Accessibility

Agency License Information: Latter & Blum | Compass is licensed in Louisiana, Texas and Mississippi.


Login to My Homefinder

Pixel